View
Add
Copy
Edit
Delete
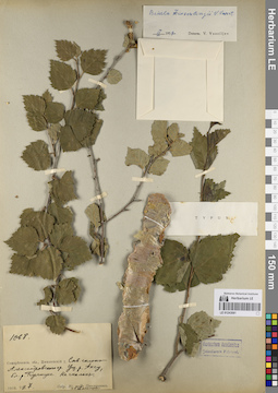
LE 01243112

LE 01243112

Betula sp.⁣

Administrative regions: KZ - Kazakhstan. Place of collection: Тургайская область, Темирский уезд.
Groups of specimens: Образцы сектора Средней Азии; Типовые образцы сектора Средней Азии; Соглашение Минобрнауки №075-15-2021-1056
Record creation: 2023-06-07, Mariya Sheludyakova, PhotoScan D2. Part2
Citation: Specimen LE 01243112 // Virtual herbarium of Komarov Botanical Institute RAS — http://re.herbariumle.ru/01243112
Read more...
LE 01243111

LE 01243111

Betula sp.⁣

Administrative regions: KZ - Kazakhstan. Place of collection: Тургайская область, Темирский уезд.
Groups of specimens: Образцы сектора Средней Азии; Типовые образцы сектора Средней Азии; Соглашение Минобрнауки №075-15-2021-1056
Record creation: 2023-06-07, Mariya Sheludyakova, PhotoScan D2. Part2
Citation: Specimen LE 01243111 // Virtual herbarium of Komarov Botanical Institute RAS — http://re.herbariumle.ru/01243111
Read more...
LE 01243110

LE 01243110

Betula sp.⁣

Administrative regions: UZ - Uzbekistan. Place of collection: бассейн реки Тупаланг.
Groups of specimens: Образцы сектора Средней Азии; Типовые образцы сектора Средней Азии; Соглашение Минобрнауки №075-15-2021-1056
Record creation: 2023-06-07, Mariya Sheludyakova, PhotoScan D2. Part2
Citation: Specimen LE 01243110 // Virtual herbarium of Komarov Botanical Institute RAS — http://re.herbariumle.ru/01243110
Read more...
LE 01243109

LE 01243109

Betula sp.⁣

Administrative regions: UZ - Uzbekistan. Place of collection: бассейн реки Тупаланг.
Groups of specimens: Образцы сектора Средней Азии; Типовые образцы сектора Средней Азии; Соглашение Минобрнауки №075-15-2021-1056
Record creation: 2023-06-07, Mariya Sheludyakova, PhotoScan D2. Part2
Citation: Specimen LE 01243109 // Virtual herbarium of Komarov Botanical Institute RAS — http://re.herbariumle.ru/01243109
Read more...
LE 01243108

LE 01243108

Betula sp.⁣

Administrative regions: KG - Kyrgyzstan. Place of collection: окрестности г. Пишпек (теперь Бишкек), река Аламедин.
Groups of specimens: Образцы сектора Средней Азии; Типовые образцы сектора Средней Азии; Соглашение Минобрнауки №075-15-2021-1056
Record creation: 2023-06-07, Mariya Sheludyakova, PhotoScan D2. Part2
Citation: Specimen LE 01243108 // Virtual herbarium of Komarov Botanical Institute RAS — http://re.herbariumle.ru/01243108
Read more...
LE 01243107

LE 01243107

Betula sp.⁣

Administrative regions: KG - Kyrgyzstan. Place of collection: окрестности г. Пишпек (теперь Бишкек), река Аламедин.
Groups of specimens: Образцы сектора Средней Азии; Типовые образцы сектора Средней Азии; Соглашение Минобрнауки №075-15-2021-1056
Record creation: 2023-06-07, Mariya Sheludyakova, PhotoScan D2. Part2
Citation: Specimen LE 01243107 // Virtual herbarium of Komarov Botanical Institute RAS — http://re.herbariumle.ru/01243107
Read more...
LE 01243106

LE 01243106

Betula sp.⁣

Administrative regions: KG - Kyrgyzstan. Place of collection: окрестности г. Пишпек (теперь Бишкек), река Аламедин.
Groups of specimens: Образцы сектора Средней Азии; Типовые образцы сектора Средней Азии; Соглашение Минобрнауки №075-15-2021-1056
Record creation: 2023-06-07, Mariya Sheludyakova, PhotoScan D2. Part2
Citation: Specimen LE 01243106 // Virtual herbarium of Komarov Botanical Institute RAS — http://re.herbariumle.ru/01243106
Read more...
LE 01243105

LE 01243105

Betula sp.⁣

Groups of specimens: Образцы сектора Средней Азии; Типовые образцы сектора Средней Азии; Соглашение Минобрнауки №075-15-2021-1056
Record creation: 2023-06-07, Mariya Sheludyakova, PhotoScan D2. Part2
Citation: Specimen LE 01243105 // Virtual herbarium of Komarov Botanical Institute RAS — http://re.herbariumle.ru/01243105
Read more...
LE 01243104

LE 01243104

Betula sp.⁣

Groups of specimens: Образцы сектора Средней Азии; Типовые образцы сектора Средней Азии; Соглашение Минобрнауки №075-15-2021-1056
Record creation: 2023-06-07, Mariya Sheludyakova, PhotoScan D2. Part2
Citation: Specimen LE 01243104 // Virtual herbarium of Komarov Botanical Institute RAS — http://re.herbariumle.ru/01243104
Read more...
LE 01243103

LE 01243103

Betula sp.⁣

Groups of specimens: Образцы сектора Средней Азии; Типовые образцы сектора Средней Азии; Соглашение Минобрнауки №075-15-2021-1056
Record creation: 2023-06-07, Mariya Sheludyakova, PhotoScan D2. Part2
Citation: Specimen LE 01243103 // Virtual herbarium of Komarov Botanical Institute RAS — http://re.herbariumle.ru/01243103
Read more...
LE 01243102

LE 01243102

Betula recurvata (I.V. Vassil.) V.N. Vassil.⁣

Administrative regions: KZ - Kazakhstan. Place of collection: горы Чингизтау.
Groups of specimens: Образцы сектора Средней Азии; Типовые образцы сектора Средней Азии; Соглашение Минобрнауки №075-15-2021-1056
Record creation: 2023-06-07, Mariya Sheludyakova, PhotoScan D2. Part2
Citation: Specimen LE 01243102 // Virtual herbarium of Komarov Botanical Institute RAS — http://re.herbariumle.ru/01243102
Read more...
LE 01243101

LE 01243101

Betula sp.⁣

Administrative regions: KG - Kyrgyzstan. Place of collection: Ферганский хребет, лесхоз Аркит.
Groups of specimens: Образцы сектора Средней Азии; Типовые образцы сектора Средней Азии; Соглашение Минобрнауки №075-15-2021-1056
Record creation: 2023-06-07, Mariya Sheludyakova, PhotoScan D2. Part2
Citation: Specimen LE 01243101 // Virtual herbarium of Komarov Botanical Institute RAS — http://re.herbariumle.ru/01243101
Read more...
LE 01243100

LE 01243100

Betula sp.⁣

Administrative regions: KG - Kyrgyzstan. Place of collection: Ферганский хребет, лесхоз Аркит.
Groups of specimens: Образцы сектора Средней Азии; Типовые образцы сектора Средней Азии; Соглашение Минобрнауки №075-15-2021-1056
Record creation: 2023-06-07, Mariya Sheludyakova, PhotoScan D2. Part2
Citation: Specimen LE 01243100 // Virtual herbarium of Komarov Botanical Institute RAS — http://re.herbariumle.ru/01243100
Read more...
LE 01243099

LE 01243099

Betula sp.⁣

Administrative regions: KG - Kyrgyzstan. Place of collection: Ферганский хребет, лесхоз Аркит.
Groups of specimens: Образцы сектора Средней Азии; Типовые образцы сектора Средней Азии; Соглашение Минобрнауки №075-15-2021-1056
Record creation: 2023-06-07, Mariya Sheludyakova, PhotoScan D2. Part2
Citation: Specimen LE 01243099 // Virtual herbarium of Komarov Botanical Institute RAS — http://re.herbariumle.ru/01243099
Read more...
LE 01243098

LE 01243098

Betula sp.⁣

Administrative regions: KG - Kyrgyzstan. Place of collection: Ферганский хребет, лесхоз Аркит.
Groups of specimens: Образцы сектора Средней Азии; Типовые образцы сектора Средней Азии; Соглашение Минобрнауки №075-15-2021-1056
Record creation: 2023-06-07, Mariya Sheludyakova, PhotoScan D2. Part2
Citation: Specimen LE 01243098 // Virtual herbarium of Komarov Botanical Institute RAS — http://re.herbariumle.ru/01243098
Read more...
LE 01243097

LE 01243097

Betula sp.⁣

Administrative regions: KZ - Kazakhstan. Place of collection: пески между р.р Уралом и Эмбой.
Groups of specimens: Образцы сектора Средней Азии; Типовые образцы сектора Средней Азии; Соглашение Минобрнауки №075-15-2021-1056
Record creation: 2023-06-07, Mariya Sheludyakova, PhotoScan D2. Part2
Citation: Specimen LE 01243097 // Virtual herbarium of Komarov Botanical Institute RAS — http://re.herbariumle.ru/01243097
Read more...
LE 01243096

LE 01243096

Betula sp.⁣

Administrative regions: KZ - Kazakhstan. Place of collection: пески между р.р Уралом и Эмбой.
Groups of specimens: Образцы сектора Средней Азии; Типовые образцы сектора Средней Азии; Соглашение Минобрнауки №075-15-2021-1056
Record creation: 2023-06-07, Mariya Sheludyakova, PhotoScan D2. Part2
Citation: Specimen LE 01243096 // Virtual herbarium of Komarov Botanical Institute RAS — http://re.herbariumle.ru/01243096
Read more...
LE 01243095

LE 01243095

Betula pseudoalajica f. paradoxa V.Vassil⁣

Administrative regions: TJ - Tajikistan. Place of collection: Памир, Сарезское озеро.
Groups of specimens: Образцы сектора Средней Азии; Типовые образцы сектора Средней Азии; Соглашение Минобрнауки №075-15-2021-1056
Record creation: 2023-06-07, Mariya Sheludyakova, PhotoScan D2. Part2
Citation: Specimen LE 01243095 // Virtual herbarium of Komarov Botanical Institute RAS — http://re.herbariumle.ru/01243095
Read more...
LE 01243094

LE 01243094

Betula pseudoalajica f. paradoxa V.Vassil⁣

Administrative regions: TJ - Tajikistan. Place of collection: Памир, Сарезское озеро.
Groups of specimens: Образцы сектора Средней Азии; Типовые образцы сектора Средней Азии; Соглашение Минобрнауки №075-15-2021-1056
Record creation: 2023-06-07, Mariya Sheludyakova, PhotoScan D2. Part2
Citation: Specimen LE 01243094 // Virtual herbarium of Komarov Botanical Institute RAS — http://re.herbariumle.ru/01243094
Read more...
LE 01243093

LE 01243093

Betula pseudoalajica f. paradoxa V.Vassil⁣

Administrative regions: TJ - Tajikistan. Place of collection: Памир, Сарезское озеро.
Groups of specimens: Образцы сектора Средней Азии; Типовые образцы сектора Средней Азии; Соглашение Минобрнауки №075-15-2021-1056
Record creation: 2023-06-07, Mariya Sheludyakova, PhotoScan D2. Part2
Citation: Specimen LE 01243093 // Virtual herbarium of Komarov Botanical Institute RAS — http://re.herbariumle.ru/01243093
Read more...
LE 01243092

LE 01243092

Betula pseudoalajica f. paradoxa V.Vassil⁣

Administrative regions: TJ - Tajikistan. Place of collection: Памир, Сарезское озеро.
Groups of specimens: Образцы сектора Средней Азии; Типовые образцы сектора Средней Азии; Соглашение Минобрнауки №075-15-2021-1056
Record creation: 2023-06-07, Mariya Sheludyakova, PhotoScan D2. Part2
Citation: Specimen LE 01243092 // Virtual herbarium of Komarov Botanical Institute RAS — http://re.herbariumle.ru/01243092
Read more...
LE 01243091

LE 01243091

Betula sp.⁣

Groups of specimens: Образцы сектора Средней Азии; Типовые образцы сектора Средней Азии; Соглашение Минобрнауки №075-15-2021-1056
Record creation: 2023-06-07, Mariya Sheludyakova, PhotoScan D2. Part2
Citation: Specimen LE 01243091 // Virtual herbarium of Komarov Botanical Institute RAS — http://re.herbariumle.ru/01243091
Read more...
LE 01243090

LE 01243090

Betula sp.⁣

Groups of specimens: Образцы сектора Средней Азии; Типовые образцы сектора Средней Азии; Соглашение Минобрнауки №075-15-2021-1056
Record creation: 2023-06-07, Mariya Sheludyakova, PhotoScan D2. Part2
Citation: Specimen LE 01243090 // Virtual herbarium of Komarov Botanical Institute RAS — http://re.herbariumle.ru/01243090
Read more...
LE 01243089

LE 01243089

Betula sp.⁣

Administrative regions: KZ - Kazakhstan. Place of collection: Карагандинская область.
Groups of specimens: Образцы сектора Средней Азии; Типовые образцы сектора Средней Азии; Соглашение Минобрнауки №075-15-2021-1056
Record creation: 2023-06-07, Mariya Sheludyakova, PhotoScan D2. Part2
Citation: Specimen LE 01243089 // Virtual herbarium of Komarov Botanical Institute RAS — http://re.herbariumle.ru/01243089
Read more...
LE 01243088

LE 01243088

Betula sp.⁣

Administrative regions: KZ - Kazakhstan. Place of collection: Акмолинская область.
Groups of specimens: Образцы сектора Средней Азии; Типовые образцы сектора Средней Азии; Соглашение Минобрнауки №075-15-2021-1056
Record creation: 2023-06-07, Mariya Sheludyakova, PhotoScan D2. Part2
Citation: Specimen LE 01243088 // Virtual herbarium of Komarov Botanical Institute RAS — http://re.herbariumle.ru/01243088
Read more...
LE 01243087

LE 01243087

Betula sp.⁣

Administrative regions: KZ - Kazakhstan. Place of collection: Акмолинская область.
Groups of specimens: Образцы сектора Средней Азии; Типовые образцы сектора Средней Азии; Соглашение Минобрнауки №075-15-2021-1056
Record creation: 2023-06-07, Mariya Sheludyakova, PhotoScan D2. Part2
Citation: Specimen LE 01243087 // Virtual herbarium of Komarov Botanical Institute RAS — http://re.herbariumle.ru/01243087
Read more...
LE 01243086

LE 01243086

Betula sp.⁣

Administrative regions: KZ - Kazakhstan. Place of collection: Акмолинская область.
Groups of specimens: Образцы сектора Средней Азии; Типовые образцы сектора Средней Азии; Соглашение Минобрнауки №075-15-2021-1056
Record creation: 2023-06-07, Mariya Sheludyakova, PhotoScan D2. Part2
Citation: Specimen LE 01243086 // Virtual herbarium of Komarov Botanical Institute RAS — http://re.herbariumle.ru/01243086
Read more...
LE 01243085

LE 01243085

Betula sp.⁣

Administrative regions: KG - Kyrgyzstan. Place of collection: Ферганский хребет.
Groups of specimens: Образцы сектора Средней Азии; Типовые образцы сектора Средней Азии; Соглашение Минобрнауки №075-15-2021-1056
Comment:
Determ. V.Vassiljev, 1965 г. - Betula arkitensis V.Vassil. Не опис.
Record creation: 2023-06-07, Mariya Sheludyakova, PhotoScan D2. Part2
Citation: Specimen LE 01243085 // Virtual herbarium of Komarov Botanical Institute RAS — http://re.herbariumle.ru/01243085
Read more...
LE 01243084

LE 01243084

Betula zinserlingii V.N. Vassil.⁣

Administrative regions: KG - Kyrgyzstan. Place of collection: окрестности г. Пишпек (теперь Бишкек).
Groups of specimens: Образцы сектора Средней Азии; Типовые образцы сектора Средней Азии; Соглашение Минобрнауки №075-15-2021-1056
Record creation: 2023-06-07, Mariya Sheludyakova, PhotoScan D2. Part2
Citation: Specimen LE 01243084 // Virtual herbarium of Komarov Botanical Institute RAS — http://re.herbariumle.ru/01243084
Read more...
LE 01243083

LE 01243083

Betula zinserlingii V.N. Vassil.⁣

Administrative regions: KG - Kyrgyzstan. Place of collection: окрестности г. Пишпек (теперь Бишкек).
Groups of specimens: Образцы сектора Средней Азии; Типовые образцы сектора Средней Азии; Соглашение Минобрнауки №075-15-2021-1056
Record creation: 2023-06-07, Mariya Sheludyakova, PhotoScan D2. Part2
Citation: Specimen LE 01243083 // Virtual herbarium of Komarov Botanical Institute RAS — http://re.herbariumle.ru/01243083
Read more...
LE 01243082

LE 01243082

Betula zinserlingii V.N. Vassil.⁣

Administrative regions: KG - Kyrgyzstan. Place of collection: окрестности г. Пишпек (теперь Бишкек).
Groups of specimens: Образцы сектора Средней Азии; Типовые образцы сектора Средней Азии; Соглашение Минобрнауки №075-15-2021-1056
Record creation: 2023-06-07, Mariya Sheludyakova, PhotoScan D2. Part2
Citation: Specimen LE 01243082 // Virtual herbarium of Komarov Botanical Institute RAS — http://re.herbariumle.ru/01243082
Read more...
LE 01243081

LE 01243081

Betula zinserlingii V.N. Vassil.⁣

Administrative regions: KG - Kyrgyzstan. Place of collection: окрестности г. Пишпек (теперь Бишкек).
Groups of specimens: Образцы сектора Средней Азии; Типовые образцы сектора Средней Азии; Соглашение Минобрнауки №075-15-2021-1056
Record creation: 2023-06-07, Mariya Sheludyakova, PhotoScan D2. Part2
Citation: Specimen LE 01243081 // Virtual herbarium of Komarov Botanical Institute RAS — http://re.herbariumle.ru/01243081
Read more...
LE 01243080

LE 01243080

Betula zinserlingii V.N. Vassil.⁣

Administrative regions: KG - Kyrgyzstan. Place of collection: окрестности г. Пишпек (теперь Бишкек).
Groups of specimens: Образцы сектора Средней Азии; Типовые образцы сектора Средней Азии; Соглашение Минобрнауки №075-15-2021-1056
Record creation: 2023-06-07, Mariya Sheludyakova, PhotoScan D2. Part2
Citation: Specimen LE 01243080 // Virtual herbarium of Komarov Botanical Institute RAS — http://re.herbariumle.ru/01243080
Read more...
LE 01243079

LE 01243079

Betula turkestanica Litv.⁣

Administrative regions: UZ - Uzbekistan. Place of collection: Ферганская область.
Groups of specimens: Образцы сектора Средней Азии; Типовые образцы сектора Средней Азии; Соглашение Минобрнауки №075-15-2021-1056
Record creation: 2023-06-07, Mariya Sheludyakova, PhotoScan D2. Part2
Citation: Specimen LE 01243079 // Virtual herbarium of Komarov Botanical Institute RAS — http://re.herbariumle.ru/01243079
Read more...
LE 01243078

LE 01243078

Betula turkestanica Litv.⁣

Administrative regions: UZ - Uzbekistan. Place of collection: Ферганская область.
Groups of specimens: Образцы сектора Средней Азии; Типовые образцы сектора Средней Азии; Соглашение Минобрнауки №075-15-2021-1056
Record creation: 2023-06-07, Mariya Sheludyakova, PhotoScan D2. Part2
Citation: Specimen LE 01243078 // Virtual herbarium of Komarov Botanical Institute RAS — http://re.herbariumle.ru/01243078
Read more...
LE 01243077

LE 01243077

Betula turkestanica Litv.⁣

Administrative regions: UZ - Uzbekistan. Place of collection: Ферганская область.
Groups of specimens: Образцы сектора Средней Азии; Типовые образцы сектора Средней Азии; Соглашение Минобрнауки №075-15-2021-1056
Record creation: 2023-06-07, Mariya Sheludyakova, PhotoScan D2. Part2
Citation: Specimen LE 01243077 // Virtual herbarium of Komarov Botanical Institute RAS — http://re.herbariumle.ru/01243077
Read more...
LE 01243076

LE 01243076

Betula turkestanica Litv.⁣

Administrative regions: UZ - Uzbekistan. Place of collection: Ферганская область.
Groups of specimens: Образцы сектора Средней Азии; Типовые образцы сектора Средней Азии; Соглашение Минобрнауки №075-15-2021-1056
Record creation: 2023-06-07, Mariya Sheludyakova, PhotoScan D2. Part2
Citation: Specimen LE 01243076 // Virtual herbarium of Komarov Botanical Institute RAS — http://re.herbariumle.ru/01243076
Read more...
LE 01243075

LE 01243075

Betula turkestanica Litv.⁣

Administrative regions: UZ - Uzbekistan. Place of collection: Ферганская область.
Groups of specimens: Образцы сектора Средней Азии; Типовые образцы сектора Средней Азии; Соглашение Минобрнауки №075-15-2021-1056
Record creation: 2023-06-07, Mariya Sheludyakova, PhotoScan D2. Part2
Citation: Specimen LE 01243075 // Virtual herbarium of Komarov Botanical Institute RAS — http://re.herbariumle.ru/01243075
Read more...
LE 01243074

LE 01243074

Betula turkestanica Litv.⁣

Administrative regions: UZ - Uzbekistan. Place of collection: Сырдарьинская область.
Groups of specimens: Образцы сектора Средней Азии; Типовые образцы сектора Средней Азии; Соглашение Минобрнауки №075-15-2021-1056
Record creation: 2023-06-07, Mariya Sheludyakova, PhotoScan D2. Part2
Citation: Specimen LE 01243074 // Virtual herbarium of Komarov Botanical Institute RAS — http://re.herbariumle.ru/01243074
Read more...
LE 01243073

LE 01243073

Betula turkestanica Litv.⁣

Groups of specimens: Образцы сектора Средней Азии; Типовые образцы сектора Средней Азии; Соглашение Минобрнауки №075-15-2021-1056
Record creation: 2023-06-07, Mariya Sheludyakova, PhotoScan D2. Part2
Citation: Specimen LE 01243073 // Virtual herbarium of Komarov Botanical Institute RAS — http://re.herbariumle.ru/01243073
Read more...
LE 01243072

LE 01243072

Betula turkestanica Litv.⁣

Groups of specimens: Образцы сектора Средней Азии; Типовые образцы сектора Средней Азии; Соглашение Минобрнауки №075-15-2021-1056
Record creation: 2023-06-07, Mariya Sheludyakova, PhotoScan D2. Part2
Citation: Specimen LE 01243072 // Virtual herbarium of Komarov Botanical Institute RAS — http://re.herbariumle.ru/01243072
Read more...
LE 01243071

LE 01243071

Betula turkestanica Litv.⁣

Groups of specimens: Образцы сектора Средней Азии; Типовые образцы сектора Средней Азии; Соглашение Минобрнауки №075-15-2021-1056
Record creation: 2023-06-07, Mariya Sheludyakova, PhotoScan D2. Part2
Citation: Specimen LE 01243071 // Virtual herbarium of Komarov Botanical Institute RAS — http://re.herbariumle.ru/01243071
Read more...
LE 01243070

LE 01243070

Betula tianschanica Rupr.⁣

Groups of specimens: Образцы сектора Средней Азии; Типовые образцы сектора Средней Азии; Соглашение Минобрнауки №075-15-2021-1056
Record creation: 2023-06-07, Mariya Sheludyakova, PhotoScan D2. Part2
Citation: Specimen LE 01243070 // Virtual herbarium of Komarov Botanical Institute RAS — http://re.herbariumle.ru/01243070
Read more...
LE 01243069

LE 01243069

Betula talassica Poljak.⁣

Administrative regions: KZ - Kazakhstan. Place of collection: Таласский Алатау.
Groups of specimens: Образцы сектора Средней Азии; Типовые образцы сектора Средней Азии; Соглашение Минобрнауки №075-15-2021-1056
Record creation: 2023-06-07, Mariya Sheludyakova, PhotoScan D2. Part2
Citation: Specimen LE 01243069 // Virtual herbarium of Komarov Botanical Institute RAS — http://re.herbariumle.ru/01243069
Read more...
LE 01243068

LE 01243068

Betula tadshikistanica V.N. Vassil.⁣

Administrative regions: TJ - Tajikistan. Place of collection: Памир, Шугнан.
Groups of specimens: Образцы сектора Средней Азии; Типовые образцы сектора Средней Азии; Соглашение Минобрнауки №075-15-2021-1056
Record creation: 2023-06-07, Mariya Sheludyakova, PhotoScan D2. Part2
Citation: Specimen LE 01243068 // Virtual herbarium of Komarov Botanical Institute RAS — http://re.herbariumle.ru/01243068
Read more...
LE 01243067

LE 01243067

Betula tadshikistanica V.N. Vassil.⁣

Administrative regions: TJ - Tajikistan. Place of collection: Памир, Шугнан.
Groups of specimens: Образцы сектора Средней Азии; Типовые образцы сектора Средней Азии; Соглашение Минобрнауки №075-15-2021-1056
Record creation: 2023-06-07, Mariya Sheludyakova, PhotoScan D2. Part2
Citation: Specimen LE 01243067 // Virtual herbarium of Komarov Botanical Institute RAS — http://re.herbariumle.ru/01243067
Read more...
LE 01243066

LE 01243066

Betula tadshikistanica V.N. Vassil.⁣

Administrative regions: TJ - Tajikistan. Place of collection: Памир, Шугнан.
Groups of specimens: Образцы сектора Средней Азии; Типовые образцы сектора Средней Азии; Соглашение Минобрнауки №075-15-2021-1056
Record creation: 2023-06-07, Mariya Sheludyakova, PhotoScan D2. Part2
Citation: Specimen LE 01243066 // Virtual herbarium of Komarov Botanical Institute RAS — http://re.herbariumle.ru/01243066
Read more...
LE 01243065

LE 01243065

Betula tadshikistanica V.N. Vassil.⁣

Administrative regions: TJ - Tajikistan. Place of collection: Памир, Шугнан.
Groups of specimens: Образцы сектора Средней Азии; Типовые образцы сектора Средней Азии; Соглашение Минобрнауки №075-15-2021-1056
Record creation: 2023-06-07, Mariya Sheludyakova, PhotoScan D2. Part2
Citation: Specimen LE 01243065 // Virtual herbarium of Komarov Botanical Institute RAS — http://re.herbariumle.ru/01243065
Read more...
LE 01243064

LE 01243064

Betula tadshikistanica V.N. Vassil.⁣

Administrative regions: TJ - Tajikistan. Place of collection: Памир, Шугнан.
Groups of specimens: Образцы сектора Средней Азии; Типовые образцы сектора Средней Азии; Соглашение Минобрнауки №075-15-2021-1056
Record creation: 2023-06-07, Mariya Sheludyakova, PhotoScan D2. Part2
Citation: Specimen LE 01243064 // Virtual herbarium of Komarov Botanical Institute RAS — http://re.herbariumle.ru/01243064
Read more...
LE 01243063

LE 01243063

Betula tadshikistanica V.N. Vassil.⁣

Administrative regions: TJ - Tajikistan. Place of collection: Памир, Шугнан.
Groups of specimens: Образцы сектора Средней Азии; Типовые образцы сектора Средней Азии; Соглашение Минобрнауки №075-15-2021-1056
Record creation: 2023-06-07, Mariya Sheludyakova, PhotoScan D2. Part2
Citation: Specimen LE 01243063 // Virtual herbarium of Komarov Botanical Institute RAS — http://re.herbariumle.ru/01243063
Read more...