View
Add
Copy
Edit
Delete
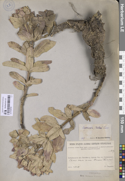
LE 01324730

LE 01324730

Euphorbia humifusa Willd.⁣

Collectors: Lomonosova, Maria Nikolaevna
Administrative regions: RU - Respublika Tyva - Ulug-Khemskiy Rayon.
Groups of specimens: Образцы сектора Сибири и Дальнего Востока России
Record creation: 2025-09-04 Marina Yarichina, PhotoScan D2
Citation: Specimen LE 01324730 // Virtual herbarium of Komarov Botanical Institute RAS — http://re.herbariumle.ru/01324730
Read more...
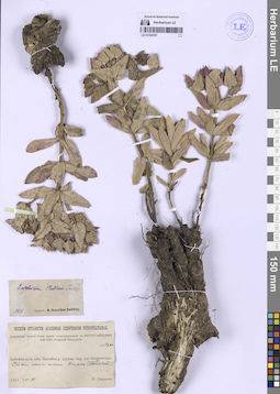
LE 01324729

LE 01324729

Euphorbia humifusa Willd.⁣

Collectors: Kusnezow (Kuznetszov, Kusnezov), Ivan Vasilievich
Administrative regions: RU - Krasnoyarskiy Kray.
Groups of specimens: Образцы сектора Сибири и Дальнего Востока России
Record creation: 2025-09-04 Marina Yarichina, PhotoScan D2
Citation: Specimen LE 01324729 // Virtual herbarium of Komarov Botanical Institute RAS — http://re.herbariumle.ru/01324729
Read more...
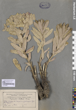
LE 01324728

LE 01324728

Euphorbia humifusa Willd.⁣

Collectors: Kusnezow (Kuznetszov, Kusnezov), Ivan Vasilievich
Administrative regions: RU - Krasnoyarskiy Kray.
Groups of specimens: Образцы сектора Сибири и Дальнего Востока России
Record creation: 2025-09-04 Marina Yarichina, PhotoScan D2
Citation: Specimen LE 01324728 // Virtual herbarium of Komarov Botanical Institute RAS — http://re.herbariumle.ru/01324728
Read more...
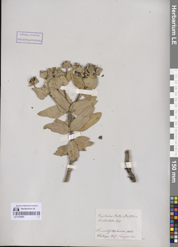
LE 01324727

LE 01324727

Euphorbia humifusa Willd.⁣

Administrative regions: RU - Respublika Khakasiya - Ust'-Abakanskiy Rayon.
Groups of specimens: Образцы сектора Сибири и Дальнего Востока России
Coordinates (geographic position): 53° 37′ 45.91″ N, 90° 42′ 48.42″ E ±1000 m
Record creation: 2025-09-04 Marina Yarichina, PhotoScan D2
Citation: Specimen LE 01324727 // Virtual herbarium of Komarov Botanical Institute RAS — http://re.herbariumle.ru/01324727
Read more...
LE 01324726

LE 01324726

Euphorbia humifusa Willd.⁣ det. Prokhanov, Yaroslav Ivanovich

Collectors: Martyanov, Nikolay Mikhailovich
Administrative regions: RU - Krasnoyarskiy Kray - Minusinskiy Rayon.
Groups of specimens: Образцы сектора Сибири и Дальнего Востока России
Coordinates (geographic position): 53° 42′ 57.92″ N, 91° 39′ 17.13″ E ±200 m
Record creation: 2025-09-04 Marina Yarichina, PhotoScan D2
Citation: Specimen LE 01324726 // Virtual herbarium of Komarov Botanical Institute RAS — http://re.herbariumle.ru/01324726
Read more...
LE 01324725

LE 01324725

Euphorbia humifusa Willd.⁣

Additional identifications: Euphorbia pseudochamaesyce Fisch. & C.A. Mey.⁣
Administrative regions: RU - Krasnoyarskiy Kray - Yermakovskiy Rayon.
Groups of specimens: Образцы сектора Сибири и Дальнего Востока России
Coordinates (geographic position): 52° 15′ 40.68″ N, 93° 0′ 27.34″ E ±1000 m
Record creation: 2025-09-04 Marina Yarichina, PhotoScan D2
Citation: Specimen LE 01324725 // Virtual herbarium of Komarov Botanical Institute RAS — http://re.herbariumle.ru/01324725
Read more...
LE 01324724

LE 01324724

Euphorbia humifusa Willd.⁣

Collectors: Neyfeld, I.
Administrative regions: RU - Respublika Khakasiya - Ust'-Abakanskiy Rayon.
Groups of specimens: Образцы сектора Сибири и Дальнего Востока России
Record creation: 2025-09-04 Marina Yarichina, PhotoScan D2
Citation: Specimen LE 01324724 // Virtual herbarium of Komarov Botanical Institute RAS — http://re.herbariumle.ru/01324724
Read more...
LE 01324723

LE 01324723

Euphorbia humifusa Willd.⁣

Collectors: Smirnov, W.I.
Administrative regions: RU - Respublika Khakasiya - Ust'-Abakanskiy Rayon.
Groups of specimens: Образцы сектора Сибири и Дальнего Востока России
Record creation: 2025-09-04 Marina Yarichina, PhotoScan D2
Citation: Specimen LE 01324723 // Virtual herbarium of Komarov Botanical Institute RAS — http://re.herbariumle.ru/01324723
Read more...
LE 01324722

LE 01324722

Euphorbia humifusa Willd.⁣ det. Komarov, Vladimir Leontjevich

Collectors: Krylov, Porphyriy Nikitich
Administrative regions: RU - Krasnoyarskiy Kray - Minusinskiy Rayon.
Groups of specimens: Образцы сектора Сибири и Дальнего Востока России
Record creation: 2025-09-04 Marina Yarichina, PhotoScan D2
Citation: Specimen LE 01324722 // Virtual herbarium of Komarov Botanical Institute RAS — http://re.herbariumle.ru/01324722
Read more...
LE 01324721

LE 01324721

Euphorbia humifusa Willd.⁣ det. Prokhanov, Yaroslav Ivanovich

Collectors: Martyanov, Nikolay Mikhailovich
Administrative regions: RU - Krasnoyarskiy Kray - Minusinskiy Rayon.
Groups of specimens: Образцы сектора Сибири и Дальнего Востока России
Record creation: 2025-09-04 Marina Yarichina, PhotoScan D2
Citation: Specimen LE 01324721 // Virtual herbarium of Komarov Botanical Institute RAS — http://re.herbariumle.ru/01324721
Read more...
LE 01324719

LE 01324719

Euphorbia humifusa Willd.⁣ det. Prokhanov, Yaroslav Ivanovich

Additional identifications: Euphorbia pseudochamaesyce Fisch. & C.A. Mey.⁣
Collectors: Martyanov, Nikolay Mikhailovich Field collecting number: 600. Collection date: 05.
Administrative regions: RU - Krasnoyarskiy Kray - Minusinskiy Rayon.
Groups of specimens: Образцы сектора Сибири и Дальнего Востока России
Original label text:
На степи около Минусинска.
Record creation: 2025-09-04 Marina Yarichina, PhotoScan D2
Citation: Specimen LE 01324719 // Virtual herbarium of Komarov Botanical Institute RAS — http://re.herbariumle.ru/01324719
Read more...
LE 01324720

LE 01324720

Euphorbia humifusa Willd.⁣ det. Prokhanov, Yaroslav Ivanovich

Additional identifications: Euphorbia pseudochamaesyce Fisch. & C.A. Mey.⁣
Collectors: Martyanov, Nikolay Mikhailovich Field collecting number: 846. Collection date: 07.
Administrative regions: RU - Krasnoyarskiy Kray - Minusinskiy Rayon.
Groups of specimens: Образцы сектора Сибири и Дальнего Востока России
Original label text:
Между известняками на правом берегу Енисея у заимки...
Record creation: 2025-09-04 Marina Yarichina, PhotoScan D2
Citation: Specimen LE 01324720 // Virtual herbarium of Komarov Botanical Institute RAS — http://re.herbariumle.ru/01324720
Read more...
LE 01324718

LE 01324718

Euphorbia humifusa Willd.⁣ det. Geltman, Dmitri Victorovich

Collectors: Krylov, Porphyriy Nikitich
Administrative regions: RU - Krasnoyarskiy Kray - Minusinskiy Rayon.
Groups of specimens: Образцы сектора Сибири и Дальнего Востока России
Record creation: 2025-09-04 Marina Yarichina, PhotoScan D2
Citation: Specimen LE 01324718 // Virtual herbarium of Komarov Botanical Institute RAS — http://re.herbariumle.ru/01324718
Read more...
LE 01324717

LE 01324717

Groups of specimens: Образцы сектора Сибири и Дальнего Востока России
Record creation: 2025-09-04 Marina Yarichina, PhotoScan D2
Citation: Specimen LE 01324717 // Virtual herbarium of Komarov Botanical Institute RAS — http://re.herbariumle.ru/01324717
Read more...
LE 01324716

LE 01324716

Euphorbia humifusa Willd.⁣ det. Schischkin, Boris Konstantinovich

Additional identifications: Euphorbia humifusa Willd.⁣ det. Prokhanov, Yaroslav Ivanovich
Collectors: Schischkin, Boris Konstantinovich; Sumnevich, Georgy Prokopyevich; Chilikina, L. N.
Administrative regions: RU - Respublika Altay - Ulaganskiy Rayon.
Groups of specimens: Образцы сектора Сибири и Дальнего Востока России
Record creation: 2025-09-04 Marina Yarichina, PhotoScan D2
Citation: Specimen LE 01324716 // Virtual herbarium of Komarov Botanical Institute RAS — http://re.herbariumle.ru/01324716
Read more...
LE 01324715

LE 01324715

Euphorbia humifusa Willd.⁣

Additional identifications: Euphorbia pseudochamaesyce Fisch. & C.A. Mey.⁣
Administrative regions: RU - Respublika Altay.
Groups of specimens: Образцы сектора Сибири и Дальнего Востока России
Original label text:
Altai
Record creation: 2025-09-04 Marina Yarichina, PhotoScan D2
Citation: Specimen LE 01324715 // Virtual herbarium of Komarov Botanical Institute RAS — http://re.herbariumle.ru/01324715
Read more...
LE 01324714

LE 01324714

Euphorbia humifusa Willd.⁣ det. Zolotuchin, Nikolay Ivanovich

Collectors: Zolotuchin, Nikolay Ivanovich Collection date: 30.08.1982.
Administrative regions: RU - Respublika Altay - Ulaganskiy Rayon.
Groups of specimens: Образцы сектора Сибири и Дальнего Востока России
Original label text:
Восточный Алтай, долина Чулышмана, район Коо.
Правый берег р. Чулышман, 2 км ниже пос. Коо, щебнистая осыпь южной экспозиции.
Coordinates (geographic position): 51° 6′ 58.86″ N, 87° 52′ 37.22″ E
Record creation: 2025-09-04 Marina Yarichina, PhotoScan D2
Citation: Specimen LE 01324714 // Virtual herbarium of Komarov Botanical Institute RAS — http://re.herbariumle.ru/01324714
Read more...
LE 01324713

LE 01324713

Euphorbia humifusa Willd.⁣ det. Zolotuchin, Nikolay Ivanovich

Collectors: Zolotuchin, Nikolay Ivanovich
Administrative regions: RU - Respublika Altay - Ulaganskiy Rayon.
Groups of specimens: Образцы сектора Сибири и Дальнего Востока России
Coordinates (geographic position): 51° 6′ 41.64″ N, 87° 52′ 53.56″ E ±300 m
Record creation: 2025-09-04 Marina Yarichina, PhotoScan D2
Citation: Specimen LE 01324713 // Virtual herbarium of Komarov Botanical Institute RAS — http://re.herbariumle.ru/01324713
Read more...
LE 01324712

LE 01324712

Euphorbia hirta L.⁣

Collectors: Stephan, Christian Fridrich
Groups of specimens: Образцы сектора Сибири и Дальнего Востока России
Original label text:
Ex Sibiria. Comm. Stephan. conf. E. Apios.
c Gmel. Sib. t. 95. t. 1.
[этикетка написана Биберштейном]
Record creation: 2025-09-04 Marina Yarichina, PhotoScan D2
Citation: Specimen LE 01324712 // Virtual herbarium of Komarov Botanical Institute RAS — http://re.herbariumle.ru/01324712
Read more...
LE 01324711

LE 01324711

Euphorbia helioscopia L.⁣ det. Mikhailova, S.I.

Collectors: Mikhailova, S.I.
Administrative regions: RU - Tomskaya Oblast'.
Groups of specimens: Образцы сектора Сибири и Дальнего Востока России
Coordinates (geographic position): 56° 35′ 13.71″ N, 84° 38′ 40.14″ E ±1000 m
Record creation: 2025-09-04 Marina Yarichina, PhotoScan D2
Citation: Specimen LE 01324711 // Virtual herbarium of Komarov Botanical Institute RAS — http://re.herbariumle.ru/01324711
Read more...
LE 01324710

LE 01324710

Euphorbia helioscopia L.⁣ det. Yakovleva, G.I.

Collectors: Yakovleva, G.I.
Administrative regions: RU - Kemerovskaya Oblast'.
Groups of specimens: Образцы сектора Сибири и Дальнего Востока России
Coordinates (geographic position): 55° 23′ 8.95″ N, 86° 14′ 40.32″ E ±2000 m
Record creation: 2025-09-04 Marina Yarichina, PhotoScan D2
Citation: Specimen LE 01324710 // Virtual herbarium of Komarov Botanical Institute RAS — http://re.herbariumle.ru/01324710
Read more...
LE 01324709

LE 01324709

Euphorbia helioscopia L.⁣ det. Naumenko, Nikolai Ivanovich

Collectors: Naumenko, Nikolai Ivanovich
Administrative regions: RU - Kurganskaya Oblast' - Shatrovskiy Rayon.
Groups of specimens: Образцы сектора Сибири и Дальнего Востока России
Coordinates (geographic position): 56° 40′ 41.89″ N, 64° 39′ 54.25″ E ±1000 m
Record creation: 2025-09-04 Marina Yarichina, PhotoScan D2
Citation: Specimen LE 01324709 // Virtual herbarium of Komarov Botanical Institute RAS — http://re.herbariumle.ru/01324709
Read more...
LE 01324708

LE 01324708

Euphorbia fischeriana Steud.⁣

Additional identifications: Euphorbia pallasii Turcz. ex Ledeb.⁣ det. Ikonnikov-Galitzky, Nikolai Petrovic
Collectors: Smirnov, W.I.
Administrative regions: RU - Zabaykal'skiy Kray - Zabaykal'skiy Rayon.
Groups of specimens: Образцы сектора Сибири и Дальнего Востока России
Coordinates (geographic position): 49° 35′ 23.26″ N, 117° 49′ 5.22″ E ±1000 m
Record creation: 2025-09-04 Marina Yarichina, PhotoScan D2
Citation: Specimen LE 01324708 // Virtual herbarium of Komarov Botanical Institute RAS — http://re.herbariumle.ru/01324708
Read more...
LE 01324707

LE 01324707

Euphorbia fischeriana Steud.⁣

Additional identifications: Euphorbia pallasii Turcz. ex Ledeb.⁣ det. Ikonnikov-Galitzky, Nikolai Petrovic
Collectors: Smirnov, W.I.
Administrative regions: RU - Zabaykal'skiy Kray - Krasnokamenskiy Rayon. Place of collection: Видимо в современной топонимике: пос. Соктуй-Милозан, окр. сопки Нойон-Толгой.
Groups of specimens: Образцы сектора Сибири и Дальнего Востока России
Coordinates (geographic position): 50° 5′ 6.62″ N, 117° 56′ 6.73″ E ±2000 m
Record creation: 2025-09-04 Marina Yarichina, PhotoScan D2
Citation: Specimen LE 01324707 // Virtual herbarium of Komarov Botanical Institute RAS — http://re.herbariumle.ru/01324707
Read more...
LE 01324706

LE 01324706

Euphorbia fischeriana Steud.⁣

Additional identifications: Euphorbia pallasii Turcz. ex Ledeb.⁣ det. Turczaninow, Nicolai Stepanowisch
Collectors: Turczaninow, Nicolai Stepanowisch Collection date: 1833.
Administrative regions: RU - Zabaykal'skiy Kray.
Groups of specimens: Образцы сектора Сибири и Дальнего Востока России
Original label text:
In montosis Dahuriae.
Record creation: 2025-09-04 Marina Yarichina, PhotoScan D2
Citation: Specimen LE 01324706 // Virtual herbarium of Komarov Botanical Institute RAS — http://re.herbariumle.ru/01324706
Read more...
LE 01324705

LE 01324705

Euphorbia fischeriana Steud.⁣

Additional identifications: Euphorbia pallasii Turcz. ex Ledeb.⁣ det. Ikonnikov-Galitzky, Nikolai Petrovic
Collectors: Smirnov, W.I.
Administrative regions: RU - Zabaykal'skiy Kray - Zabaykal'skiy Rayon.
Groups of specimens: Образцы сектора Сибири и Дальнего Востока России
Coordinates (geographic position): 49° 35′ 49.35″ N, 117° 50′ 1″ E ±1000 m
Record creation: 2025-09-04 Marina Yarichina, PhotoScan D2
Citation: Specimen LE 01324705 // Virtual herbarium of Komarov Botanical Institute RAS — http://re.herbariumle.ru/01324705
Read more...
LE 01324704

LE 01324704

Euphorbia fischeriana Steud.⁣

Additional identifications: Euphorbia pallasii Turcz. ex Ledeb.⁣ det. Ikonnikov-Galitzky, Nikolai Petrovic
Collectors: Smirnov, W.I.
Administrative regions: RU - Zabaykal'skiy Kray - Krasnokamenskiy Rayon. Place of collection: Видимо в современной топонимике: пос. Соктуй-Милозан, окр. сопки Нойон-Толгой..
Groups of specimens: Образцы сектора Сибири и Дальнего Востока России
Coordinates (geographic position): 50° 5′ 6.62″ N, 117° 56′ 6.73″ E ±2000 m
Record creation: 2025-09-04 Marina Yarichina, PhotoScan D2
Citation: Specimen LE 01324704 // Virtual herbarium of Komarov Botanical Institute RAS — http://re.herbariumle.ru/01324704
Read more...
LE 01324703

LE 01324703

Euphorbia fischeriana Steud.⁣

Additional identifications: Euphorbia pallasii Turcz. ex Ledeb.⁣ det. Ikonnikov-Galitzky, Nikolai Petrovic
Collectors: Sukaczev, Vladimir Nikolajevich; Poplavskaya (Poplawska), Henrietta Ippolitovna
Administrative regions: RU - Zabaykal'skiy Kray - Nerchinskiy Rayon. Place of collection: падь Алеурская, в 6 км от Нерчинска.
Groups of specimens: Образцы сектора Сибири и Дальнего Востока России
Coordinates (geographic position): 52° 0′ 54.82″ N, 116° 41′ 25.85″ E ±200 m
Record creation: 2025-09-04 Marina Yarichina, PhotoScan D2
Citation: Specimen LE 01324703 // Virtual herbarium of Komarov Botanical Institute RAS — http://re.herbariumle.ru/01324703
Read more...
LE 01324702

LE 01324702

Euphorbia fischeriana Steud.⁣

Additional identifications: Euphorbia pallasii Turcz. ex Ledeb.⁣ det. Ikonnikov-Galitzky, Nikolai Petrovic
Collectors: Smirnov, W.I.
Administrative regions: RU - Zabaykal'skiy Kray - Krasnokamenskiy Rayon. Place of collection: Видимо в современной топонимике: пос. Соктуй-Милозан, окр. сопки Нойон-Толгой.
Groups of specimens: Образцы сектора Сибири и Дальнего Востока России
Coordinates (geographic position): 50° 5′ 4.96″ N, 117° 56′ 1.18″ E ±1000 m
Record creation: 2025-09-04 Marina Yarichina, PhotoScan D2
Citation: Specimen LE 01324702 // Virtual herbarium of Komarov Botanical Institute RAS — http://re.herbariumle.ru/01324702
Read more...
LE 01324701

LE 01324701

Euphorbia fischeriana Steud.⁣

Additional identifications: Euphorbia pallasii Turcz. ex Ledeb.⁣ det. Ikonnikov-Galitzky, Nikolai Petrovic
Collectors: Smirnov, W.I.
Administrative regions: RU - Zabaykal'skiy Kray - Krasnokamenskiy Rayon. Place of collection: Видимо в современной топонимике: пос. Соктуй-Милозан, окр. сопки Нойон-Толгой.
Groups of specimens: Образцы сектора Сибири и Дальнего Востока России
Coordinates (geographic position): 50° 5′ 4.96″ N, 117° 56′ 1.18″ E ±1000 m
Record creation: 2025-09-04 Marina Yarichina, PhotoScan D2
Citation: Specimen LE 01324701 // Virtual herbarium of Komarov Botanical Institute RAS — http://re.herbariumle.ru/01324701
Read more...
LE 01324700

LE 01324700

Euphorbia fischeriana Steud.⁣

Additional identifications: Euphorbia pallasii Turcz. ex Ledeb.⁣ det. Levichev, Igor Germanovich
Collectors: Levichev, Igor Germanovich
Administrative regions: RU - Zabaykal'skiy Kray. Subregion: Могойтуйский район.
Groups of specimens: Образцы сектора Сибири и Дальнего Востока России
Coordinates (geographic position): 51° 13′ 26.57″ N, 115° 40′ 59.86″ E ±200 m
Record creation: 2025-09-04 Marina Yarichina, PhotoScan D2
Citation: Specimen LE 01324700 // Virtual herbarium of Komarov Botanical Institute RAS — http://re.herbariumle.ru/01324700
Read more...
LE 01324699

LE 01324699

Euphorbia fischeriana Steud.⁣

Additional identifications: Euphorbia pallasii Turcz. ex Ledeb.⁣
Administrative regions: RU - Zabaykal'skiy Kray - Priargunskiy Rayon.
Groups of specimens: Образцы сектора Сибири и Дальнего Востока России
Record creation: 2025-09-04 Marina Yarichina, PhotoScan D2
Citation: Specimen LE 01324699 // Virtual herbarium of Komarov Botanical Institute RAS — http://re.herbariumle.ru/01324699
Read more...
LE 01324698

LE 01324698

Euphorbia fischeriana Steud.⁣

Administrative regions: RU - Zabaykal'skiy Kray - Priargunskiy Rayon.
Groups of specimens: Образцы сектора Сибири и Дальнего Востока России
Coordinates (geographic position): 50° 18′ 35.01″ N, 118° 20′ 31.91″ E ±200 m
Record creation: 2025-09-04 Marina Yarichina, PhotoScan D2
Citation: Specimen LE 01324698 // Virtual herbarium of Komarov Botanical Institute RAS — http://re.herbariumle.ru/01324698
Read more...
LE 01324697

LE 01324697

Euphorbia fischeriana Steud.⁣

Administrative regions: RU - Zabaykal'skiy Kray - Krasnokamenskiy Rayon. Place of collection: окрестности горы Тулукуй, в 10 км на восток от пади Чиндачи.
Groups of specimens: Образцы сектора Сибири и Дальнего Востока России
Coordinates (geographic position): 50° 3′ 9.23″ N, 118° 7′ 8.14″ E ±500 m
Record creation: 2025-09-04 Marina Yarichina, PhotoScan D2
Citation: Specimen LE 01324697 // Virtual herbarium of Komarov Botanical Institute RAS — http://re.herbariumle.ru/01324697
Read more...
LE 01324696

LE 01324696

Euphorbia fischeriana Steud.⁣

Administrative regions: RU - Zabaykal'skiy Kray - Priargunskiy Rayon. Place of collection: падь Сухой Урулюнгуй.
Groups of specimens: Образцы сектора Сибири и Дальнего Востока России
Coordinates (geographic position): 50° 21′ 7.16″ N, 118° 25′ 59.68″ E ±500 m
Record creation: 2025-09-04 Marina Yarichina, PhotoScan D2
Citation: Specimen LE 01324696 // Virtual herbarium of Komarov Botanical Institute RAS — http://re.herbariumle.ru/01324696
Read more...
LE 01324695

LE 01324695

Euphorbia fischeriana Steud.⁣

Administrative regions: RU - Zabaykal'skiy Kray - Krasnokamenskiy Rayon. Place of collection: гора Барун-Тэвэлту.
Groups of specimens: Образцы сектора Сибири и Дальнего Востока России
Coordinates (geographic position): 50° 0′ 44.14″ N, 117° 54′ 4.75″ E ±500 m
Record creation: 2025-09-04 Marina Yarichina, PhotoScan D2
Citation: Specimen LE 01324695 // Virtual herbarium of Komarov Botanical Institute RAS — http://re.herbariumle.ru/01324695
Read more...
LE 01324694

LE 01324694

Euphorbia fischeriana Steud.⁣

Collectors: Sukaczev, Vladimir Nikolajevich; Poplavskaya (Poplawska), Henrietta Ippolitovna
Administrative regions: RU - Zabaykal'skiy Kray - Nerchinskiy Rayon. Place of collection: падь Алеурская, 6 км к ВСВ от Нерчинска.
Groups of specimens: Образцы сектора Сибири и Дальнего Востока России
Coordinates (geographic position): 52° 1′ 46.1″ N, 116° 41′ 39.12″ E ±500 m
Record creation: 2025-09-04 Marina Yarichina, PhotoScan D2
Citation: Specimen LE 01324694 // Virtual herbarium of Komarov Botanical Institute RAS — http://re.herbariumle.ru/01324694
Read more...
LE 01324693

LE 01324693

Euphorbia fischeriana Steud.⁣

Collectors: Stukow, Georgij Andreevitch
Administrative regions: RU - Zabaykal'skiy Kray - Nerchinskiy Rayon.
Groups of specimens: Образцы сектора Сибири и Дальнего Востока России
Record creation: 2025-09-04 Marina Yarichina, PhotoScan D2
Citation: Specimen LE 01324693 // Virtual herbarium of Komarov Botanical Institute RAS — http://re.herbariumle.ru/01324693
Read more...
LE 01324692

LE 01324692

Euphorbia fischeriana Steud.⁣

Additional identifications: Euphorbia pallasii Turcz. ex Ledeb.⁣
Collectors: Sergievskaya, Lydia Palladievna; L'vov, Juriy Alexeevich
Administrative regions: RU - Zabaykal'skiy Kray. Subregion: Могойтуйский район.
Groups of specimens: Образцы сектора Сибири и Дальнего Востока России
Coordinates (geographic position): 51° 3′ 7.28″ N, 115° 37′ 47.6″ E ±1000 m
Record creation: 2025-09-04 Marina Yarichina, PhotoScan D2
Citation: Specimen LE 01324692 // Virtual herbarium of Komarov Botanical Institute RAS — http://re.herbariumle.ru/01324692
Read more...
LE 01324691

LE 01324691

Euphorbia fischeriana Steud.⁣

Additional identifications: Euphorbia pallasii Turcz. ex Ledeb.⁣
Collectors: Ovczinnikov, Pavel Nikolaevich; Slobodov, A.A.
Administrative regions: RU - Zabaykal'skiy Kray - Nerchinskiy Rayon.
Groups of specimens: Образцы сектора Сибири и Дальнего Востока России
Record creation: 2025-09-04 Marina Yarichina, PhotoScan D2
Citation: Specimen LE 01324691 // Virtual herbarium of Komarov Botanical Institute RAS — http://re.herbariumle.ru/01324691
Read more...
LE 01324690

LE 01324690

Euphorbia fischeriana Steud.⁣

Additional identifications: Euphorbia pallasii Turcz. ex Ledeb.⁣ det. Ovczinnikov, Pavel Nikolaevich
Collectors: Ovczinnikov, Pavel Nikolaevich; Slobodov, A.A.
Administrative regions: RU - Zabaykal'skiy Kray - Borzinskiy Rayon.
Groups of specimens: Образцы сектора Сибири и Дальнего Востока России
Record creation: 2025-09-04 Marina Yarichina, PhotoScan D2
Citation: Specimen LE 01324690 // Virtual herbarium of Komarov Botanical Institute RAS — http://re.herbariumle.ru/01324690
Read more...
LE 01324689

LE 01324689

Euphorbia fischeriana Steud.⁣

Collectors: Budantsev, Andrey Lvovich; Korobkov, Aleksandr Aleksandrovich; Medvedeva, Nina Anatolyevna
Administrative regions: RU - Zabaykal'skiy Kray - Priargunskiy Rayon. Place of collection: окрестности села Верхний Тасуркай, долина р. Тасуркай.
Groups of specimens: Образцы сектора Сибири и Дальнего Востока России
Coordinates (geographic position): 50° 26′ 29.86″ N, 118° 20′ 8.82″ E ±300 m
Record creation: 2025-09-04 Marina Yarichina, PhotoScan D2
Citation: Specimen LE 01324689 // Virtual herbarium of Komarov Botanical Institute RAS — http://re.herbariumle.ru/01324689
Read more...
LE 01324688

LE 01324688

Euphorbia fischeriana Steud.⁣

Additional identifications: Euphorbia pallasii Turcz. ex Ledeb.⁣
Administrative regions: RU - Zabaykal'skiy Kray - Nerchinskiy Rayon.
Groups of specimens: Образцы сектора Сибири и Дальнего Востока России
Original label text:
Sibiria, pr. Nertschinsk
Record creation: 2025-09-04 Marina Yarichina, PhotoScan D2
Citation: Specimen LE 01324688 // Virtual herbarium of Komarov Botanical Institute RAS — http://re.herbariumle.ru/01324688
Read more...
LE 01324687

LE 01324687

Euphorbia fischeriana Steud.⁣

Additional identifications: Euphorbia verticillata Fisch.⁣ det. Turczaninow, Nicolai Stepanowisch
Collectors: Turczaninow, Nicolai Stepanowisch Collection date: 1831.
Administrative regions: RU - Zabaykal'skiy Kray.
Groups of specimens: Образцы сектора Сибири и Дальнего Востока России
Original label text:
In Dahuriae
Record creation: 2025-09-04 Marina Yarichina, PhotoScan D2
Citation: Specimen LE 01324687 // Virtual herbarium of Komarov Botanical Institute RAS — http://re.herbariumle.ru/01324687
Read more...
LE 01324686

LE 01324686

Euphorbia fischeriana Steud.⁣

Additional identifications: Euphorbia verticillata Fisch.⁣ det. Turczaninow, Nicolai Stepanowisch
Collectors: Turczaninow, Nicolai Stepanowisch Collection date: 1831.
Administrative regions: RU - Zabaykal'skiy Kray.
Groups of specimens: Образцы сектора Сибири и Дальнего Востока России
Original label text:
In Dahuriae
Record creation: 2025-09-04 Marina Yarichina, PhotoScan D2
Citation: Specimen LE 01324686 // Virtual herbarium of Komarov Botanical Institute RAS — http://re.herbariumle.ru/01324686
Read more...
LE 01324685

LE 01324685

Euphorbia fischeriana Steud.⁣ det. Baikov, Konstantin Stanislavovich

Additional identifications: Euphorbia verticillata Fisch.⁣ det. Turczaninow, Nicolai Stepanowisch; Euphorbia pallasii Turcz. ex Ledeb.⁣ det. Grubov, Valery Ivanovich
Collectors: Turczaninow, Nicolai Stepanowisch Collection date: 1831.
Administrative regions: RU - Zabaykal'skiy Kray.
Groups of specimens: Образцы сектора Сибири и Дальнего Востока России
Original label text:
In montosis apricis Dahuriae
Record creation: 2025-09-04 Marina Yarichina, PhotoScan D2
Citation: Specimen LE 01324685 // Virtual herbarium of Komarov Botanical Institute RAS — http://re.herbariumle.ru/01324685
Read more...
LE 01324684

LE 01324684

Euphorbia fischeriana Steud.⁣

Additional identifications: Euphorbia pallasii Turcz. ex Ledeb.⁣ det. Schukin, Semen Semenovich
Collectors: Schukin, Semen Semenovich Collection date: 01.07.1834.
Administrative regions: RU - Zabaykal'skiy Kray - Nerchinskiy Rayon.
Groups of specimens: Образцы сектора Сибири и Дальнего Востока России
Original label text:
... По дороге к Нерчинску
Record creation: 2025-09-04 Marina Yarichina, PhotoScan D2
Citation: Specimen LE 01324684 // Virtual herbarium of Komarov Botanical Institute RAS — http://re.herbariumle.ru/01324684
Read more...
LE 01324683

LE 01324683

Euphorbia fischeriana Steud.⁣

Additional identifications: Euphorbia pallasii Turcz. ex Ledeb.⁣
Collectors: Turczaninow, Nicolai Stepanowisch Collection date: 1833.
Administrative regions: RU - Zabaykal'skiy Kray.
Groups of specimens: Образцы сектора Сибири и Дальнего Востока России
Original label text:
In montosis Dahuriae
Record creation: 2025-09-04 Marina Yarichina, PhotoScan D2
Citation: Specimen LE 01324683 // Virtual herbarium of Komarov Botanical Institute RAS — http://re.herbariumle.ru/01324683
Read more...
LE 01324682

LE 01324682

Euphorbia fischeriana Steud.⁣

Additional identifications: Euphorbia pallasii Turcz. ex Ledeb.⁣
Collectors: Turczaninow, Nicolai Stepanowisch Collection date: 1833.
Administrative regions: RU - Zabaykal'skiy Kray.
Groups of specimens: Образцы сектора Сибири и Дальнего Востока России
Original label text:
In montosis Dahuriae
Record creation: 2025-09-04 Marina Yarichina, PhotoScan D2
Citation: Specimen LE 01324682 // Virtual herbarium of Komarov Botanical Institute RAS — http://re.herbariumle.ru/01324682
Read more...
LE 01324681

LE 01324681

Euphorbia fischeriana Steud.⁣ det. Baikov, Konstantin Stanislavovich

Additional identifications: Euphorbia verticillata Fisch.⁣ det. Turczaninow, Nicolai Stepanowisch; Euphorbia pallasii Turcz. ex Ledeb.⁣ det. Grubov, Valery Ivanovich
Collectors: Turczaninow, Nicolai Stepanowisch Collection date: 1831.
Administrative regions: RU - Zabaykal'skiy Kray - Nerchinskiy Rayon.
Groups of specimens: Образцы сектора Сибири и Дальнего Востока России
Original label text:
On montosis apricis Dahuriae Nerczensis
Record creation: 2025-09-04 Marina Yarichina, PhotoScan D2
Citation: Specimen LE 01324681 // Virtual herbarium of Komarov Botanical Institute RAS — http://re.herbariumle.ru/01324681
Read more...