View
Add
Copy
Edit
Delete
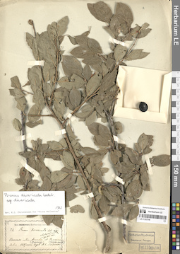
LE 01314004

LE 01314004

Campanula lasiocarpa Cham.⁣ det. Vassiljev, Viktor Nikolayevich

Collectors: Kardakov, Andrey Ivanovich Field collecting number: 34. Collection date: 23.08.1930.
Administrative regions: RU - Kamtchatski Kray - Aleutskiy Rayon.
Groups of specimens: Образцы сектора Сибири и Дальнего Востока России
Original label text:
о. Медный, с. Преображенское. Южный склон сопки, осыпь.
Coordinates (geographic position): 54° 47′ 25.04″ N, 167° 34′ 49″ E ±200 m
Record creation: 2025-01-31, Marina Yarichina, PhotoScan D2.
Citation: Specimen LE 01314004 // Virtual herbarium of Komarov Botanical Institute RAS — http://re.herbariumle.ru/01314004
Read more...
LE 01314003

LE 01314003

Campanula lasiocarpa Cham.⁣

Collectors: Kardakov, Andrey Ivanovich Field collecting number: 74. Collection date: 01.08.1930.
Administrative regions: RU - Kamtchatski Kray - Aleutskiy Rayon.
Groups of specimens: Образцы сектора Сибири и Дальнего Востока России
Original label text:
о. Медный, с. Преображенское, южный склон сопки, россыпь
Coordinates (geographic position): 54° 47′ 25.04″ N, 167° 34′ 49″ E ±500 m
Record creation: 2025-01-31, Marina Yarichina, PhotoScan D2.
Citation: Specimen LE 01314003 // Virtual herbarium of Komarov Botanical Institute RAS — http://re.herbariumle.ru/01314003
Read more...
LE 01314002

LE 01314002

Campanula lasiocarpa Cham.⁣ det. Vassiljev, Viktor Nikolayevich

Collectors: Kardakov, Andrey Ivanovich Field collecting number: 34. Collection date: 23.08.1930.
Administrative regions: RU - Kamtchatski Kray - Aleutskiy Rayon.
Groups of specimens: Образцы сектора Сибири и Дальнего Востока России
Original label text:
о. Медный, с. Преображенское, южный склон сопки, осыпи
Coordinates (geographic position): 54° 47′ 25.04″ N, 167° 34′ 49″ E
Record creation: 2025-01-31, Marina Yarichina, PhotoScan D2.
Citation: Specimen LE 01314002 // Virtual herbarium of Komarov Botanical Institute RAS — http://re.herbariumle.ru/01314002
Read more...
LE 01314001

LE 01314001

Campanula lasiocarpa Cham.⁣ det. Vassiljev, Viktor Nikolayevich

Collectors: Kardakov, Andrey Ivanovich Field collecting number: 74. Collection date: 01.08.1930.
Administrative regions: RU - Kamtchatski Kray - Aleutskiy Rayon.
Groups of specimens: Образцы сектора Сибири и Дальнего Востока России
Original label text:
о. Медный, с. Преображенское, южный склон сопки, россыпи
Coordinates (geographic position): 54° 47′ 25.04″ N, 167° 34′ 49″ E
Record creation: 2025-01-31, Marina Yarichina, PhotoScan D2.
Citation: Specimen LE 01314001 // Virtual herbarium of Komarov Botanical Institute RAS — http://re.herbariumle.ru/01314001
Read more...
LE 01314000

LE 01314000

Campanula lasiocarpa Cham.⁣

Collectors: Kardakova (Prezhentsova), Eugenija Alexeevna Collection date: 09.09.1928.
Administrative regions: RU - Kamtchatski Kray - Aleutskiy Rayon.
Groups of specimens: Образцы сектора Сибири и Дальнего Востока России
Original label text:
о. Беринга, с. Никольское
Record creation: 2025-01-31, Marina Yarichina, PhotoScan D2.
Citation: Specimen LE 01314000 // Virtual herbarium of Komarov Botanical Institute RAS — http://re.herbariumle.ru/01314000
Read more...
LE 01313999

LE 01313999

Campanula lasiocarpa Cham.⁣ det. Fedorov, Andrey Aleksandrovich

Collectors: Gudzenko, Anatoliy Nikolajevich Collection date: 17.08.1910.
Administrative regions: RU - Kamtchatski Kray - Aleutskiy Rayon.
Groups of specimens: Образцы сектора Сибири и Дальнего Востока России
Original label text:
Растения северо-восточного побережья Сибири:1910

Остров Беринга.
Подполковник Гудзенко
Record creation: 2025-01-31, Marina Yarichina, PhotoScan D2.
Citation: Specimen LE 01313999 // Virtual herbarium of Komarov Botanical Institute RAS — http://re.herbariumle.ru/01313999
Read more...
LE 01313998

LE 01313998

Campanula lasiocarpa Cham.⁣ det. Fedorov, Andrey Aleksandrovich

Collectors: Gudzenko, Anatoliy Nikolajevich Collection date: 17.08.1910.
Administrative regions: RU - Kamtchatski Kray - Aleutskiy Rayon.
Groups of specimens: Образцы сектора Сибири и Дальнего Востока России
Original label text:
Растения северо-восточного побережья Сибири.
о-в Беринга.
Подполковник Гудзенко.
Record creation: 2025-01-31, Marina Yarichina, PhotoScan D2.
Citation: Specimen LE 01313998 // Virtual herbarium of Komarov Botanical Institute RAS — http://re.herbariumle.ru/01313998
Read more...
LE 01313997

LE 01313997

Campanula lasiocarpa Cham.⁣

Collectors: Kardakova (Prezhentsova), Eugenija Alexeevna; Novograblenov, Prokopiy Trifonovich Field collecting number: 36. Collection date: 09.09.1928.
Administrative regions: RU - Kamtchatski Kray - Aleutskiy Rayon.
Groups of specimens: Образцы сектора Сибири и Дальнего Востока России
Original label text:
О-в Беринга, сел. Никольское. Низкотравные кочки.
Coordinates (geographic position): 55° 12′ 4.02″ N, 166° 0′ 11.09″ E ±500 m
Record creation: 2025-01-31, Marina Yarichina, PhotoScan D2.
Citation: Specimen LE 01313997 // Virtual herbarium of Komarov Botanical Institute RAS — http://re.herbariumle.ru/01313997
Read more...
LE 01313996

LE 01313996

Campanula lasiocarpa Cham.⁣ det. Fedtschenko, Boris Alexeevich

Collectors: Morozewicz, Jozef Avgustinovich Collection date: 1903.
Administrative regions: RU - Kamtchatski Kray - Aleutskiy Rayon.
Groups of specimens: Образцы сектора Сибири и Дальнего Востока России
Original label text:
О-в Медный.
Record creation: 2025-01-31, Marina Yarichina, PhotoScan D2.
Citation: Specimen LE 01313996 // Virtual herbarium of Komarov Botanical Institute RAS — http://re.herbariumle.ru/01313996
Read more...
LE 01313995

LE 01313995

Campanula lasiocarpa Cham.⁣

Collectors: Grebnitsky, Nikolai Alexandrovich Collection date: 14.09.1894.
Administrative regions: RU - Kamtchatski Kray - Aleutskiy Rayon.
Groups of specimens: Образцы сектора Сибири и Дальнего Востока России
Original label text:
О-в Беринга
Record creation: 2025-01-31, Marina Yarichina, PhotoScan D2.
Citation: Specimen LE 01313995 // Virtual herbarium of Komarov Botanical Institute RAS — http://re.herbariumle.ru/01313995
Read more...
LE 01313994

LE 01313994

Campanula lasiocarpa Cham.⁣ det. Trautvetter, Ernst Rudolf von

Collectors: Dobrotvorsky Collection date: 08.1886.
Administrative regions: RU - Kamtchatski Kray - Aleutskiy Rayon.
Groups of specimens: Образцы сектора Сибири и Дальнего Востока России
Original label text:
О. Медный (Командорские острова).
Record creation: 2025-01-31, Marina Yarichina, PhotoScan D2.
Citation: Specimen LE 01313994 // Virtual herbarium of Komarov Botanical Institute RAS — http://re.herbariumle.ru/01313994
Read more...
LE 01313993

LE 01313993

Campanula lasiocarpa Cham.⁣

Collectors: Grebnitsky, Nikolai Alexandrovich Collection date: 06.1880.
Administrative regions: RU - Kamtchatski Kray - Aleutskiy Rayon.
Groups of specimens: Образцы сектора Сибири и Дальнего Востока России
Original label text:
О-в Беринга
Record creation: 2025-01-31, Marina Yarichina, PhotoScan D2.
Citation: Specimen LE 01313993 // Virtual herbarium of Komarov Botanical Institute RAS — http://re.herbariumle.ru/01313993
Read more...
LE 01313992

LE 01313992

Campanula lasiocarpa Cham.⁣

Collectors: Grebnitsky, Nikolai Alexandrovich Collection date: 20.07.1894.
Administrative regions: RU - Kamtchatski Kray - Aleutskiy Rayon.
Groups of specimens: Образцы сектора Сибири и Дальнего Востока России
Original label text:
О. Беринга
Record creation: 2025-01-31, Marina Yarichina, PhotoScan D2.
Citation: Specimen LE 01313992 // Virtual herbarium of Komarov Botanical Institute RAS — http://re.herbariumle.ru/01313992
Read more...
LE 01313990

LE 01313990

Campanula lasiocarpa Cham.⁣ det. Trautvetter, Ernst Rudolf von

Collectors: Dybowski, Benedykt Tadeusz Collection date: 1879.
Administrative regions: RU - Kamtchatski Kray - Aleutskiy Rayon.
Groups of specimens: Образцы сектора Сибири и Дальнего Востока России
Original label text:
Bering Insel
Record creation: 2025-01-31, Marina Yarichina, PhotoScan D2.
Citation: Specimen LE 01313990 // Virtual herbarium of Komarov Botanical Institute RAS — http://re.herbariumle.ru/01313990
Read more...
LE 01313991

LE 01313991

Campanula lasiocarpa Cham.⁣ det. Trautvetter, Ernst Rudolf von

Collectors: Dybowski, Benedykt Tadeusz Collection date: 1879.
Administrative regions: RU - Kamtchatski Kray - Aleutskiy Rayon. Place of collection: о. Медный.
Groups of specimens: Образцы сектора Сибири и Дальнего Востока России
Original label text:
Kupfer Insel
Record creation: 2025-01-31, Marina Yarichina, PhotoScan D2.
Citation: Specimen LE 01313991 // Virtual herbarium of Komarov Botanical Institute RAS — http://re.herbariumle.ru/01313991
Read more...
LE 01313987

LE 01313987

Campanula lasiocarpa Cham.⁣ det. Trautvetter, Ernst Rudolf von

Collectors: Dobrotvorsky Collection date: 1881.
Administrative regions: RU - Kamtchatski Kray - Aleutskiy Rayon. Place of collection: о. Медный.
Groups of specimens: Образцы сектора Сибири и Дальнего Востока России
Original label text:
Insula Cuprea maris Beringiana.
Herbarium Trautvetter.
Record creation: 2025-01-31, Marina Yarichina, PhotoScan D2.
Citation: Specimen LE 01313987 // Virtual herbarium of Komarov Botanical Institute RAS — http://re.herbariumle.ru/01313987
Read more...
LE 01313989

LE 01313989

Campanula lasiocarpa Cham.⁣ det. Trautvetter, Ernst Rudolf von

Collectors: Dybowski, Benedykt Tadeusz Collection date: 1879.
Administrative regions: RU - Kamtchatski Kray - Aleutskiy Rayon. Place of collection: о. Беринга.
Groups of specimens: Образцы сектора Сибири и Дальнего Востока России
Original label text:
Insula Beringii maris Beringiana
Record creation: 2025-01-31, Marina Yarichina, PhotoScan D2.
Citation: Specimen LE 01313989 // Virtual herbarium of Komarov Botanical Institute RAS — http://re.herbariumle.ru/01313989
Read more...
LE 01313988

LE 01313988

Campanula lasiocarpa Cham.⁣ det. Trautvetter, Ernst Rudolf von

Collectors: Dybowski, Benedykt Tadeusz Collection date: 1879.
Administrative regions: RU - Kamtchatski Kray - Aleutskiy Rayon. Place of collection: о. Медный.
Groups of specimens: Образцы сектора Сибири и Дальнего Востока России
Original label text:
Insula Cuprea maris Beringiana
Record creation: 2025-01-31, Marina Yarichina, PhotoScan D2.
Citation: Specimen LE 01313988 // Virtual herbarium of Komarov Botanical Institute RAS — http://re.herbariumle.ru/01313988
Read more...
LE 01313986

LE 01313986

Campanula cephalotes Nakai⁣ det. Fedorov, Andrey Aleksandrovich

Administrative regions: RU - Magadanskaya Oblast'.
Groups of specimens: Образцы сектора Сибири и Дальнего Востока России
Original label text:
Et Ochotzk et Jakutsk
Record creation: 2025-01-31, Marina Yarichina, PhotoScan D2.
Citation: Specimen LE 01313986 // Virtual herbarium of Komarov Botanical Institute RAS — http://re.herbariumle.ru/01313986
Read more...
LE 01313985

LE 01313985

Campanula cephalotes Nakai⁣ det. Fedorov, Andrey Aleksandrovich

Additional identifications: Campanula glomerata L.⁣ det. Maximowicz, Carl Johann
Collectors: Orlow, Dmitry Ivanovich Collection date: 1848.
Administrative regions: RU - Khabarovskiy Kray - Ayano-Mayskiy Rayon.
Groups of specimens: Образцы сектора Сибири и Дальнего Востока России
Original label text:
... Ajan im der Aldan
Record creation: 2025-01-31, Marina Yarichina, PhotoScan D2.
Citation: Specimen LE 01313985 // Virtual herbarium of Komarov Botanical Institute RAS — http://re.herbariumle.ru/01313985
Read more...
LE 01313984

LE 01313984

Campanula cephalotes Nakai⁣ det. Fedorov, Andrey Aleksandrovich

Additional identifications: Campanula glomerata L.⁣
Collectors: Merck, Carl Heinrich
Administrative regions: RU - Khabarovskiy Kray - Okhotskiy Rayon.
Groups of specimens: Образцы сектора Сибири и Дальнего Востока России
Original label text:
Kamtschatka e Sibiria orient.
В. Комаровым: Собрано Мерком близ Охотска или вернее по пути Охотск - Якутск.
Record creation: 2025-01-31, Marina Yarichina, PhotoScan D2.
Citation: Specimen LE 01313984 // Virtual herbarium of Komarov Botanical Institute RAS — http://re.herbariumle.ru/01313984
Read more...
LE 01313983

LE 01313983

Campanula cephalotes Nakai⁣ det. Fedorov, Andrey Aleksandrovich

Additional identifications: Campanula glomerata L.⁣
Collectors: Arsenjev, Vladimir Klavdievich Field collecting number: 154. Collection date: 28.06.1909.
Administrative regions: RU - Khabarovskiy Kray - Ul'chskiy Rayon.
Groups of specimens: Образцы сектора Сибири и Дальнего Востока России
Original label text:
Растения Приморской области.
Село Мариинское. По обрывам.
Coordinates (geographic position): 51° 45′ 4.75″ N, 140° 14′ 11.14″ E ±1000 m
Comment:
Этикетка написана тем же почерком, что и этикетки Н. Десулави. Так что, возможно коллектор Н.А. Десулави.
Record creation: 2025-01-31, Marina Yarichina, PhotoScan D2.
Citation: Specimen LE 01313983 // Virtual herbarium of Komarov Botanical Institute RAS — http://re.herbariumle.ru/01313983
Read more...
LE 01313982

LE 01313982

Campanula cephalotes Nakai⁣ det. Fedorov, Andrey Aleksandrovich

Additional identifications: Campanula glomerata L.⁣
Collectors: Arsenjev, Vladimir Klavdievich Field collecting number: 278. Collection date: 05.08.1909.
Administrative regions: RU - Khabarovskiy Kray. Subregion: Николаевский район.
Groups of specimens: Образцы сектора Сибири и Дальнего Востока России
Original label text:
Растения Приморской области.
Маяк С. Николаевска (?). На камнях
Record creation: 2025-01-31, Marina Yarichina, PhotoScan D2.
Citation: Specimen LE 01313982 // Virtual herbarium of Komarov Botanical Institute RAS — http://re.herbariumle.ru/01313982
Read more...
LE 01313981

LE 01313981

Campanula cephalotes Nakai⁣ det. Fedorov, Andrey Aleksandrovich

Additional identifications: Campanula glomerata L.⁣
Collectors: Arsenjev, Vladimir Klavdievich Field collecting number: 218. Collection date: 24.07.1909.
Administrative regions: RU - Khabarovskiy Kray.
Groups of specimens: Образцы сектора Сибири и Дальнего Востока России
Original label text:
Растения Приморской области.
На берегу речки у камней. Дата.
Record creation: 2025-01-31, Marina Yarichina, PhotoScan D2.
Citation: Specimen LE 01313981 // Virtual herbarium of Komarov Botanical Institute RAS — http://re.herbariumle.ru/01313981
Read more...
LE 01313980

LE 01313980

Campanula cephalotes Nakai⁣ det. Fedorov, Andrey Aleksandrovich

Additional identifications: Campanula glomerata L.⁣
Collectors: Palczewsky, Nikolay Alexandrovich
Administrative regions: RU - Khabarovskiy Kray.
Groups of specimens: Образцы сектора Сибири и Дальнего Востока России
Original label text:
Растения Дальнего Востока :1885-1909 гг.
Получено через Переселенческое управление в 1910 г.
Приморская обл., Амур.
Record creation: 2025-01-31, Marina Yarichina, PhotoScan D2.
Citation: Specimen LE 01313980 // Virtual herbarium of Komarov Botanical Institute RAS — http://re.herbariumle.ru/01313980
Read more...
LE 01313979

LE 01313979

Galium dahuricum Turcz.⁣

Collectors: Nechaeva, Tomila Ivanovna Collection date: 07.1973.
Administrative regions: RU - Sakhalinskaya Oblast' - Nevel'skiy Rayon.
Groups of specimens: Образцы сектора Сибири и Дальнего Востока России
Original label text:
о. Монерон, Сахалинской области. Среди разнотравья
Coordinates (geographic position): 46° 15′ 16.68″ N, 141° 13′ 55.58″ E ±2000 m
Record creation: 2025-01-31, Marina Yarichina, PhotoScan D2.
Citation: Specimen LE 01313979 // Virtual herbarium of Komarov Botanical Institute RAS — http://re.herbariumle.ru/01313979
Read more...
LE 01310016

LE 01310016

Vicia cassubica L.⁣

Groups of specimens: Образцы сектора Восточной Европы
Record creation: 2025-01-31, Artyom Leostrin, PhotoScan D2.
Citation: Specimen LE 01310016 // Virtual herbarium of Komarov Botanical Institute RAS — http://re.herbariumle.ru/01310016
Read more...
LE 01310015

LE 01310015

Agrostis vinealis Schreb.⁣

Groups of specimens: Образцы сектора Восточной Европы
Record creation: 2025-01-31, Artyom Leostrin, PhotoScan D2.
Citation: Specimen LE 01310015 // Virtual herbarium of Komarov Botanical Institute RAS — http://re.herbariumle.ru/01310015
Read more...
LE 01310014

LE 01310014

Ostericum palustre (Besser) Besser⁣

Groups of specimens: Образцы сектора Восточной Европы
Record creation: 2025-01-31, Artyom Leostrin, PhotoScan D2.
Citation: Specimen LE 01310014 // Virtual herbarium of Komarov Botanical Institute RAS — http://re.herbariumle.ru/01310014
Read more...
LE 01310013

LE 01310013

Eragrostis minor Host⁣

Groups of specimens: Образцы сектора Восточной Европы
Record creation: 2025-01-31, Artyom Leostrin, PhotoScan D2.
Citation: Specimen LE 01310013 // Virtual herbarium of Komarov Botanical Institute RAS — http://re.herbariumle.ru/01310013
Read more...
LE 01310012

LE 01310012

Bidens frondosa L.⁣

Groups of specimens: Образцы сектора Восточной Европы
Record creation: 2025-01-31, Artyom Leostrin, PhotoScan D2.
Citation: Specimen LE 01310012 // Virtual herbarium of Komarov Botanical Institute RAS — http://re.herbariumle.ru/01310012
Read more...
LE 01310011

LE 01310011

Ballota nigra L.⁣

Groups of specimens: Образцы сектора Восточной Европы
Record creation: 2025-01-31, Artyom Leostrin, PhotoScan D2.
Citation: Specimen LE 01310011 // Virtual herbarium of Komarov Botanical Institute RAS — http://re.herbariumle.ru/01310011
Read more...
LE 01310009

LE 01310009

Festuca altissima All.⁣

Groups of specimens: Образцы сектора Восточной Европы
Record creation: 2025-01-31, Artyom Leostrin, PhotoScan D2.
Citation: Specimen LE 01310009 // Virtual herbarium of Komarov Botanical Institute RAS — http://re.herbariumle.ru/01310009
Read more...
LE 01310008

LE 01310008

Vicia cassubica L.⁣

Groups of specimens: Образцы сектора Восточной Европы
Record creation: 2025-01-31, Artyom Leostrin, PhotoScan D2.
Citation: Specimen LE 01310008 // Virtual herbarium of Komarov Botanical Institute RAS — http://re.herbariumle.ru/01310008
Read more...
LE 01313978

LE 01313978

Epilobium lactiflorum Hausskn.⁣

Groups of specimens: Образцы сектора Восточной Европы; Флора Мурманской области
Record creation: 2024-01-31, Marina Yarichina, PhotoScan D2.
Citation: Specimen LE 01313978 // Virtual herbarium of Komarov Botanical Institute RAS — http://re.herbariumle.ru/01313978
Read more...
LE 01255577

LE 01255577

Calanthe speciosa (Blume) Lindl.⁣ det. Averyanov, Leonid Vladimirovich at 31.01.2025

Collectors: Nuraliev, M. S. Field collecting number: NUR4391. Collection date: 23.10.2024.
Administrative regions: VN - Tinh Bac Giang.
Groups of specimens: L. V. Averyanov specimens; L. V. Averyanov photos; Orchids of Vietnam, Laos and Cambodia
Original label text:
Calanthe
NORTHERN VIETNAM
Bac Giang province, Son Dong district,
Tuan Mau municipality.
Tay Yen Tu Nature Reserve.
About 900 m SSW of Tay Yen Tu tourist area.
Disturbed forest with bamboo,
bank of small stream.
N 21° 10' 29'' E 106° 43' 11'' elev. 300 m
Nuraliev M.S. NUR 4391 23.10.2024
Det. L. Averyanov 31 01 2025
Record creation: 2025-01-31, Аверьянов Леонид Владимирович. Processing status: work_status_1
Citation: Specimen LE 01255577 // Virtual herbarium of Komarov Botanical Institute RAS — http://re.herbariumle.ru/01255577
Read more...
LE 01255578

LE 01255578

Calanthe densiflora Lindl.⁣ det. Averyanov, Leonid Vladimirovich at 31.01.2025

Collectors: Nuraliev, M. S. Field collecting number: NUR4230. Collection date: 26.09.2024.
Administrative regions: VN - Tinh Lang Son.
Groups of specimens: L. V. Averyanov specimens; L. V. Averyanov photos; Orchids of Vietnam, Laos and Cambodia
Original label text:
Russian-Vietnamese Tropical Centre
Orchidaceae
Calanthe
NORTHERN VIETNAM
Lang Son province, Loc Binh district,
Mau Son municipality.
Mau Son special-use forest.
15 km E of Lang Son city.
Nui Pa San summit area,
Forest remnants near tourist village.
N 21° 50' 54'' E 106° 55' 04'' elev. 1130 m
Nuraliev M.S. NUR 4230 26.09.2024
Det. L. Averyanov 31 01 2025
Record creation: 2025-01-31, Аверьянов Леонид Владимирович. Processing status: work_status_1
Citation: Specimen LE 01255578 // Virtual herbarium of Komarov Botanical Institute RAS — http://re.herbariumle.ru/01255578
Read more...
LE 01308540

LE 01308540

Groups of specimens: Образцы сектора Кавказа
Record creation: 2025-01-30, Denis Melnikov, PhotoScan D2.
Citation: Specimen LE 01308540 // Virtual herbarium of Komarov Botanical Institute RAS — http://re.herbariumle.ru/01308540
Read more...
LE 01308539

LE 01308539

Groups of specimens: Образцы сектора Кавказа
Record creation: 2025-01-30, Denis Melnikov, PhotoScan D2.
Citation: Specimen LE 01308539 // Virtual herbarium of Komarov Botanical Institute RAS — http://re.herbariumle.ru/01308539
Read more...
LE 01308538

LE 01308538

Groups of specimens: Образцы сектора Кавказа
Record creation: 2025-01-30, Denis Melnikov, PhotoScan D2.
Citation: Specimen LE 01308538 // Virtual herbarium of Komarov Botanical Institute RAS — http://re.herbariumle.ru/01308538
Read more...
LE 01308537

LE 01308537

Groups of specimens: Образцы сектора Кавказа
Record creation: 2025-01-30, Denis Melnikov, PhotoScan D2.
Citation: Specimen LE 01308537 // Virtual herbarium of Komarov Botanical Institute RAS — http://re.herbariumle.ru/01308537
Read more...
LE 01308536

LE 01308536

Groups of specimens: Образцы сектора Кавказа
Record creation: 2025-01-30, Denis Melnikov, PhotoScan D2.
Citation: Specimen LE 01308536 // Virtual herbarium of Komarov Botanical Institute RAS — http://re.herbariumle.ru/01308536
Read more...
LE 01308535

LE 01308535

Groups of specimens: Образцы сектора Кавказа
Record creation: 2025-01-30, Denis Melnikov, PhotoScan D2.
Citation: Specimen LE 01308535 // Virtual herbarium of Komarov Botanical Institute RAS — http://re.herbariumle.ru/01308535
Read more...
LE 01308534

LE 01308534

Groups of specimens: Образцы сектора Кавказа
Record creation: 2025-01-30, Denis Melnikov, PhotoScan D2.
Citation: Specimen LE 01308534 // Virtual herbarium of Komarov Botanical Institute RAS — http://re.herbariumle.ru/01308534
Read more...
LE 01308533

LE 01308533

Groups of specimens: Образцы сектора Кавказа
Record creation: 2025-01-30, Denis Melnikov, PhotoScan D2.
Citation: Specimen LE 01308533 // Virtual herbarium of Komarov Botanical Institute RAS — http://re.herbariumle.ru/01308533
Read more...
LE 01308532

LE 01308532

Groups of specimens: Образцы сектора Кавказа
Record creation: 2025-01-30, Denis Melnikov, PhotoScan D2.
Citation: Specimen LE 01308532 // Virtual herbarium of Komarov Botanical Institute RAS — http://re.herbariumle.ru/01308532
Read more...
LE 01308531

LE 01308531

Groups of specimens: Образцы сектора Кавказа
Record creation: 2025-01-30, Denis Melnikov, PhotoScan D2.
Citation: Specimen LE 01308531 // Virtual herbarium of Komarov Botanical Institute RAS — http://re.herbariumle.ru/01308531
Read more...
LE 01308530

LE 01308530

Groups of specimens: Образцы сектора Кавказа
Record creation: 2025-01-30, Denis Melnikov, PhotoScan D2.
Citation: Specimen LE 01308530 // Virtual herbarium of Komarov Botanical Institute RAS — http://re.herbariumle.ru/01308530
Read more...
LE 01308529

LE 01308529

Groups of specimens: Образцы сектора Кавказа
Record creation: 2025-01-30, Denis Melnikov, PhotoScan D2.
Citation: Specimen LE 01308529 // Virtual herbarium of Komarov Botanical Institute RAS — http://re.herbariumle.ru/01308529
Read more...
LE 01308528

LE 01308528

Groups of specimens: Образцы сектора Кавказа
Record creation: 2025-01-30, Denis Melnikov, PhotoScan D2.
Citation: Specimen LE 01308528 // Virtual herbarium of Komarov Botanical Institute RAS — http://re.herbariumle.ru/01308528
Read more...